Abschlussarbeit

Konsistenzprüfung und Homogenisierung zweier Punktfelder im Umfeld des Münchner Hauptbahnhofs

Plan
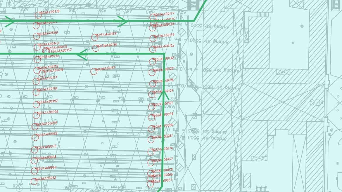
Übersichtskarte mit Festpunkten und Messungsvorplan (Abbildung: Okhan Kurtar)

Details

Extern/e Autor:in
Okhan Kurtar
Intern/e Betreuer:in
Prof. Dr. Peter Wasmeier
Abschluss
Bachelor
Studiengang
Angewandte Geodäsie und Geoinformatik
Jahr
2025
Fakultät
Fakultät für Geoinformation
Status
abgeschlossen
Themengruppe
Geodätische_Messtechnik

Das Projekt der 2. S-Bahn-Stammstrecke zählt zu den größten Infrastrukturmaßnahmen Deutschlands und ist zugleich das bedeutendste Bauvorhaben im Raum München. Für die Arbeiten am Münchner Hauptbahnhof ist eine hochpräzise geodätische Grundlage erforderlich, um die Vielzahl an Bau- und Vermessungsaufgaben zuverlässig durchführen zu können. Ausgangspunkt der Bachelorarbeit war, zwei Festpunktfelder im Bereich des Bahnhofs zu untersuchen: zum einen das bestehende Festpunktfeld der Deutschen Bahn im Gleisbereich der Haupthalle (Abb. 1, rote markierte Festpunkte), das im DHDN-System der Deutschen Bahngeführt wird, und zum anderen das neu für die 2. Stammstrecke angelegte Festpunktfeld (Abb. 1, blau markiert Festpunkte), das ursprünglich im DB_Ref2016-System erstellt und in das DHDN-System der Bahn transformiert wurde.

Ziel der Arbeit war es, zu prüfen, inwieweit diese beiden Bezugssysteme konsistent zueinander sind, und darüber hinaus Konzepte zu entwickeln, die eine Homogenisierung ermöglichen. Dabei wurden zwei Ansätze konzipiert: Zum einen eine dynamische Ausgleichung mit flächenhaft verteilten Lagerungspunkten, die ein spannungsarmes gemeinsames System schafft und als Plan der Konsistenzprüfung und gleichzeitig als erste Variante der Homogenisierung dargestellt ist (Abb. 2).

Zum anderen wurde eine nahezu gezwungene Ausgleichung an den Eckbereichen der beiden Netze entwickelt. Dieser Ansatz ist so ausgelegt, dass er einen schrittweisen, nahtlosen Übergang zwischen den beiden Systemen ermöglicht. Er ist insbesondere dann sinnvoll, wenn es erforderlich wäre, trotz möglicher Unterschiede beide Bezugssysteme gleichzeitig nutzbar zu halten. Abhängig vom Standort innerhalb des Netzes wird dabei stärker das eine oder das andere System berücksichtigt, wodurch sich eine praxisgerechte Übergangszone ergibt. Die Idee dieses zweiten Homogenisierungsansatzes ist in Abbildung 3 dargestellt, wo die farbigen Anpassungszonen (rot = DB-nah, blau = 2.SS-nah) sowie die verwendeten Datumspunkte (grüne Dreiecke) den Übergang illustrieren.

Die Arbeit hat ein methodisches Vorgehen zur Erstellung eines zuverlässigen, für die Praxis einsetzbaren Zwischen-Bezugssystems entwickelt — inklusive Messplanung, Auswertungsworkflow und Umsetzungsvarianten zur Homogenisierung. Damit steht eine wissenschaftlich fundierte Grundlage zur Verfügung, die Vermessungs- und Bauteams vor Ort das Arbeiten mit einer konsistenten, belastbaren Referenz erlaubt und so die Präzision und Sicherheit von Bauausführungen erhöht.

Die Untersuchung zeigt insgesamt, wie sich durch moderne Methoden der Netzmessung und Netzausgleichung Konzepte entwickeln lassen, die eine einheitliche und tragfähige Vermessungsgrundlage für ein Großprojekt dieser Dimension schaffen. Damit wird ein wichtiger Beitrag zur sicheren und präzisen Durchführung der Bauarbeiten geleistet.

Abbildungen

3/3